1) Pourquoi le botrytis est un problème majeur ?
La pourriture grise, causée surtout par Botrytis cinerea, fait partie des maladies les plus fréquentes en tomate, aussi bien sous serre qu’en plein champ. Elle peut toucher feuilles, fleurs, tiges et fruits, mais les attaques sur tige sont souvent les plus pénalisantes car elles peuvent entraîner un dépérissement rapide du plant et une perte directe de rendement.
Ce champignon est particulièrement redoutable car :
- il s’installe facilement sur les tissus fragiles (jeunes organes, tissus affaiblis, parties vieillissantes),
- il profite des blessures (taille, effeuillage, récolte, frottements),
- il se développe très vite dès que l’ambiance devient humide et peu ventilée.
2) D’où vient l’infection et comment elle se propage ?
Le botrytis se maintient d’une campagne à l’autre grâce à :
- les résidus de culture (débris contaminés),
- le sol et les zones humides de la serre,
- certaines structures et recoins difficiles à nettoyer.
La dissémination se fait principalement via :
- courants d’air et poussières,
- gouttelettes d’eau (éclaboussures, irrigation mal maîtrisée),
- outils, gants, caisses, et passages d’ouvriers (contamination mécanique).
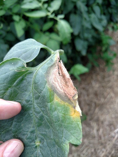
3) Symptômes : ce qu’il faut repérer tôt
Le signe le plus connu est la moisissure grise (“poussière”/feutrage gris). Mais quand elle apparaît, le champignon est souvent déjà bien installé.
Indices précoces à surveiller :
- coulure de fleurs plus importante que d’habitude,
- petites zones brunâtres ou “comme brûlées” sur feuilles,
- débuts de nécrose autour d’un chicon (reste de feuille/bourgeon après intervention),
- taches ou débuts de pourriture sur fruits, parfois discrètes au départ.
Sur tige :
- apparition de lésions brun clair à brun foncé, qui peuvent évoluer en chancre et fragiliser le plant.


4) Conditions qui favorisent la maladie
Le botrytis est avant tout une maladie de microclimat.
Les situations à risque typiques :
- humidité relative très élevée (air “chargé”, condensation),
- températures fraîches à douces,
- mauvaise aération (serre trop fermée, canopée dense),
- faible luminosité (périodes nuageuses, ombrage excessif),
- présence d’eau stagnante ou de zones constamment humides.
5) Les facteurs de conduite qui aggravent les attaques
Le niveau d’infestation dépend beaucoup de l’état du plant et des pratiques culturales :
- excès de vigueur (souvent lié à un excès d’azote) → feuillage dense, humidité piégée,
- blessures fréquentes ou mal gérées (portes d’entrée),
- nettoyage insuffisant avant mise en culture,
- densité trop élevée, drainage insuffisant,
- présence de cultures sensibles proches ou rotation défavorable,
- contamination par outils/ouvriers/circulation.
6) Stratégie de lutte : l’approche intégrée (la plus efficace)
Le botrytis ne se contrôle pas durablement avec une seule méthode. Le meilleur résultat vient d’une combinaison : prévention + conduite climatique + hygiène + biocontrôle + chimie raisonnée si nécessaire.
A) Hygiène et prophylaxie (base indispensable)
- Retirer rapidement les organes atteints et les sortir de la serre (ne pas laisser au sol).
- Évacuer les déchets dans des contenants fermés et organiser un circuit propre/sale.
- Nettoyer et désinfecter la structure entre campagnes (angles, gouttières, zones humides).
B) Gestion du climat (le levier n°1 en serre)
Objectif : éviter l’eau libre sur plante et limiter la condensation.
- Ventiler pour assécher l’ambiance dès que possible.
- Réduire l’ombrage et améliorer la circulation d’air dans la culture.
- Adapter l’ouverture/fermeture selon humidité et température (pilotage régulier plutôt que “tout fermer longtemps”).
C) Conduite culturale (réduire la densité et les tissus sensibles)
- Effeuillage et ébourgeonnage raisonnés, pour ouvrir la canopée.
- Éviter les blessures inutiles, gestes propres et réguliers.
- Programmer les interventions quand les conditions permettent un séchage rapide des plaies.
D) Irrigation et eau
- Limiter tout ce qui mouille le feuillage (aspersion à risque).
- Surveiller les excès d’eau et la stagnation (sol et allées).
- Maintenir un drainage correct et éviter les zones “toujours mouillées”.
E) Biocontrôle (préventif surtout)
Des micro-organismes antagonistes (ex. Trichoderma, Bacillus, etc.) peuvent aider à réduire la pression, mais ils donnent de meilleurs résultats quand :
- ils sont utilisés avant l’explosion des symptômes,
- ils s’intègrent à un climat maîtrisé et à une bonne hygiène.
F) Chimie (si autorisée) : raisonner et gérer les résistances
Quand la pression est forte, la protection chimique peut ralentir la maladie, mais elle ne “fait pas disparaître” le champignon si l’environnement reste favorable.
Bonnes pratiques :
- alterner les modes d’action (logique anti-résistance),
- éviter la répétition du même groupe,
- intervenir préventivement dans un programme global,
- respecter strictement l’étiquette et les règles locales (DAR, doses, sécurité).
7) Et après la récolte ? (transport et conservation)
Le botrytis peut continuer à évoluer sur fruits après récolte, surtout si :
- fruits blessés,
- humidité élevée dans les caisses/chambres,
- refroidissement et hygiène insuffisants.
Mesures utiles :
- trier les fruits suspects,
- limiter les chocs et blessures,
- garder une chaîne logistique propre et bien ventilée.
À retenir (résumé ultra-pratique)
Si tu veux baisser le botrytis :
Complète avec biocontrôle + chimie raisonnée si nécessaire
Assèche l’ambiance (ventilation, condensation zéro)
Allège la canopée (densité, effeuillage raisonné)
Réduis les blessures et désinfecte (outils, circulation)
Évacue vite les foyers (déchets hors serre)





